How to resolve AdBlock issue?
Refresh this page
How to resolve AdBlock issue?
Refresh this page
Lake County News,California
  • Home
    • Registration Form
  • News
    • Education
    • Veterans
    • Community
      • Obituaries
      • Letters
      • Commentary
    • Police Logs
    • Business
    • Recreation
    • Health
    • Religion
    • Legals
    • Arts & Life
    • Regional
  • Calendar
  • Contact us
    • FAQs
    • Phones, E-Mail
    • Subscribe
  • Advertise Here
  • Login

News

Lakeport Planning Commission approves new affordable housing complex

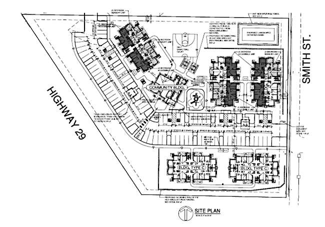
The site plan for a proposed 40-unit apartment complex at 519 S. Smith St. in Lakeport, California. Image courtesy of the city of Lakeport.


LAKE COUNTY, Calif. — The Lakeport Planning Commission has given approval to a new affordable housing apartment complex project but heard concerns from neighbors about how another of the developer’s projects was managed during construction, and also gave the OK to a permit for residential use in connection to a downtown business.

At its Jan. 11 meeting, the commission unanimously approved zoning and general plan amendment changes and other necessary resolutions for AMG & Associates LLC’s “affordable housing community,” to be located on a 3.7-acre site at 519 S. Smith St.

The 40-unit project will be located next to the Phase I and II of the Martin Street Apartments, also built by AMG. The developer’s other projects in the city include Bella Vista senior housing complex and a 40-unit senior apartment complex planned for Bevins Street.

City Associate Planner Victor Fernandez said the 40 dwelling units will be broken down into eight units over five multifamily residential buildings.

Fernandez said there will be 10 adaptable units, six units will be compliant with the Americans with Disabilities Act and four units will be sensory impaired units. There also will be a 2,469-square-foot community center, a playground and half basketball court.

He said the development will be accessed from a driveway off S. Smith Street and an internal roadway to connect to phase two of the Martin Street Apartments to the north. There will be 78 parking spaces, including eight that are compliant with the Americans with Disabilities Act, plus new stormwater infrastructure.

Commissioner Kip Knorr applauded the developer, noting it’s a difficult building site and that they did an excellent job mitigating issues in the first phase.

However, two neighbors who spoke criticized how the developer’s contractors had behaved on the previous projects.

They described damage to water lines, a substandard retaining wall built to front a neighboring property, a stolen wrought iron gate, people walking through or along their properties, road grinders that made a home shake, fencing on their property that the contractors wouldn’t move, flat tires from nails left behind by the builders, construction that begins early in the morning, concerns about privacy and dismissive contractors.

Commissioner Kurt Combs said he liked the previous projects and was sorry about the neighbors. “But that’s almost an issue of the contractors and how it was handled” and not density or things the commission has any control over. As such, he wanted to see the project move forward.

Commissioner Scott Barnett wanted to know who would make sure to take care of the neighbors.

City Manager Kevin Ingram said he would look into the matter.

Commissioner Nathan Maxman also wanted to ask the developer to put up a visual screen on the south portion of the site for neighbor privacy.

Jacob Soroudi, an AMG representative who attended the meeting via Zoom, said he was disheartened to hear the statements from the neighbors. He said he would pass along his personal contact information so the neighbors could reach out to him directly about complaints. Soroudi said he also would talk to the contractors.

Commission Chair Mark Mitchell, who is a contractor, said hearing about the issues is “extremely irritating,” and he hoped the developer would make amends with the neighbors.

Soroudi said he doesn’t like to hear that their contractors are misbehaving.

Maxman asked again about placing trees or a visual screen for privacy. Soroudi said he has to go to his team as there is a cost to it and that he could get back to the city.

The commission unanimously approved five separate motions — to approve a mitigated negative declaration, a general plan amendment, a recommendation to the City Council for a zoning change, a density bonus and a resolution recommending the Lakeport City Council approve an amendment to the land use designation plan of the Lakeport General Plan.

Ingram said he expects the project will go to the City Council on Feb. 21. All affected property owners will get notices.

Also at the meeting, the commission approved an application from Lisa Tomassini for a use permit to allow a residential use in conjunction with a commercial business at 341 N Main St.

Tommasini wants to convert a portion of the second floor to mixed use as a residence. Plans include adding a bathroom.

Planning staff determined the proposal is in conformance with general plan provisions for the central business district, which requires one parking spot. They noted there isn’t enough space for off site parking, which also wouldn’t conform with preservation of a historic building.

Commissioners said they liked seeing the combination of work and living space coming back.

During the meeting, Lake County News asked if the city was seeing more interest in a move to combining residential with business uses, and if this was a return to historic use in the city’s downtown.

Ingram said they have had a couple of similar requests in the downtown area, as well as some vacation rentals, although he’s not sure it’s enough to be a trend yet.

“It too brings a different life to downtown, having residents there full-time,” Ingram said. “It’s definitely something that we would like to see continue and call a trend at some point.”

Ingram said he didn’t know the age of the building, but believed it likely did have residential uses at some point.

Maxman, who said it was a great idea and he would like to see more of it, made the motions for a categorical exemption to the California Environmental Quality Act and a finding that the use permit meets the requirements of the zoning ordinance and is consistent with the general plan.

The commission approved both motions unanimously.

Email Elizabeth Larson at This email address is being protected from spambots. You need JavaScript enabled to view it.. Follow her on Twitter, @ERLarson, or Lake County News, @LakeCoNews.

2022 was world’s 6th-warmest year on record

A world map plotted with color blocks depicting percentiles of global average land and ocean temperatures for the full year 2022. Color blocks depict increasing warmth, from dark blue (record-coldest area) to dark red (record-warmest area) and spanning areas in between that were "much cooler than average" through "much warmer than average." Image: NOAA NCEI.


The planet continued its warming trend in 2022, with last year ranking as the sixth-warmest year on record since 1880, according to an analysis by scientists from NOAA’s National Centers for Environmental Information, or NCEI.

Below are highlights from NOAA’s 2022 annual global climate report:

Climate by the numbers

Earth’s average land and ocean surface temperature in 2022 was 1.55 degrees F (0.86 of a degree C) above the 20th-century average of 57.0 degrees F (13.9 degrees C) — the sixth highest among all years in the 1880-2022 record.

It also marked the 46th-consecutive year (since 1977) with global temperatures rising above the 20th-century average. The 10-warmest years on record have all occurred since 2010, with the last nine years (2014-2022) among the 10-warmest years.

The 2022 Northern Hemisphere surface temperature was also the sixth highest in the 143-year record at 1.98 degrees F (1.10 degrees C) above average. The Southern Hemisphere surface temperature for 2022 was the seventh highest on record at 1.10 degrees F (0.61 of a degree C) above average.

2022 as ranked by other scientific organizations

NASA scientists conducted a separate but similar analysis, determining that 2022 ranked as Earth’s fifth-warmest year on record, tied with 2015. The European Commission's Copernicus ranked 2022 as the globe’s fifth-warmest year on record.

An annotated map of the world plotted with the year's most significant climate events.

Other notable climate findings and events

Global ocean heat content (OHC) hit a record high: The upper ocean heat content, which addresses the amount of heat stored in the upper 2,000 meters of the ocean, was record high in 2022, surpassing the previous record set in 2021. The four highest OHCs have all occurred in the last four years (2019-2022).

Polar sea ice ran low: The 2022 annual Antarctic sea ice extent (coverage) was at a near-record low at 4.09 million square miles. Only the year 1987 had a smaller annual extent. During 2022, each month had an extent that ranked among the five smallest for their respective months, while the months of February, June, July and August had their lowest monthly extent on record.

In the Arctic, the average annual sea ice extent was approximately 4.13 million square miles — the 11th-smallest annual average sea ice extent in the 1979-2022 record, according to data from the National Snow and Ice Data Center.

Global tropical cyclones were near average: A total of 88 named storms occurred across the globe in 2022, which was near the 1991-2020 average. Of those, 40 reached tropical cyclone strength (winds of 74 mph or higher) and 17 reached major tropical cyclone strength (winds of 111 mph or higher). The global accumulated cyclone energy (ACE) — an integrated metric of the strength, frequency and duration of tropical storms — was the fourth lowest since 1981.

December 2022 was warm: The average temperature across global land and ocean surfaces in December was 1.44 degrees F (0.80 of a degree C) above the 20th-century average. This ranks as the eighth-warmest December in the 143-year NOAA record.

Regionally, Africa tied 2016 for its second-warmest December on record. South America’s December ranked fourth warmest on record, while Europe saw its 10th warmest. Although North America and Asia both had an above-average December temperature, neither ranked among the 20 warmest on record.

An annotated map of the world plotted with the year's most significant climate events. Please see the story below as well as the report summary from NOAA NCEI at http://bit.ly/Global202212offsite link. Image: NOAA NCEI.

Helping Paws: Akitas, terriers and malamutes

LAKE COUNTY, Calif. — Lake County Animal Care and Control has an interesting and diverse lineup of dogs waiting for new homes.

Dogs available for adoption this week include mixes of Akita, Alaskan malamute, American blue heeler, Belgian Malinois, German shepherd, hound, husky, Jack Russell terrier, Labrador retriever, mastiff, pit bull, pointer, shepherd and terrier.

Dogs that are adopted from Lake County Animal Care and Control are either neutered or spayed, microchipped and, if old enough, given a rabies shot and county license before being released to their new owner. License fees do not apply to residents of the cities of Lakeport or Clearlake.

The following dogs at the Lake County Animal Care and Control shelter have been cleared for adoption.

Call Lake County Animal Care and Control at 707-263-0278 or visit the shelter online for information on visiting or adopting.

This female Labrador retriever-pit bull mix puppy is in kennel No. 2, ID No. LCAC-A-4451. Photo courtesy of Lake County Animal Care and Control.

Lab-pit bull mix puppy

This female Labrador retriever-pit bull mix puppy has a short black coat with white markings.

She is in kennel No. 2, ID No. LCAC-A-4451.

This 6-month-old female pit bull terrier is in kennel No. 3, ID No. LCAC-A-4565. Photo courtesy of Lake County Animal Care and Control.

Female pit bull terrier

This 6-month-old female pit bull terrier has a short red and white coat.

She is in kennel No. 3, ID No. LCAC-A-4565.

This 3-year-old female pointer mix is in kennel No. 4, ID No. LCAC-A-4520. Photo courtesy of Lake County Animal Care and Control.

Female pointer mix

This 3-year-old female pointer mix has a tricolor coat.

She is in kennel No. 4, ID No. LCAC-A-4520.

This 5-month-old female American blue heeler-hound is in kennel No. 6a, ID No. LCAC-A-4521. Photo courtesy of Lake County Animal Care and Control.

American blue heeler-hound

This 5-month-old female American blue heeler-hound has a short brown and white coat.

She is in kennel No. 6a, ID No. LCAC-A-4521.

This 5-month-old female American blue heeler-hound is in kennel No. 6b, ID No. LCAC-A-4522. Photo courtesy of Lake County Animal Care and Control.

American blue heeler-hound

This 5-month-old female American blue heeler-hound has a short brindle coat.

She is in kennel No. 6b, ID No. LCAC-A-4522.

This 10-month-old female German shepherd is in kennel No. 8, ID No. LCAC-A-4448. Photo courtesy of Lake County Animal Care and Control.

Female German shepherd

This 10-month-old female German shepherd has a black and tan coat.

She is in kennel No. 8, ID No. LCAC-A-4448.

This 5-month-old male American blue heeler-hound is in kennel No. 9a, ID No. LCAC-A-4519. Photo courtesy of Lake County Animal Care and Control.

Male American blue heeler-hound

This 5-month-old male American blue heeler-hound has a short brindle coat.

He is in kennel No. 9a, ID No. LCAC-A-4519.

This 5-month-old male American blue heeler-hound is in kennel No. 9b, ID No. LCAC-A-4523. Photo courtesy of Lake County Animal Care and Control.

Male American blue heeler-hound

This 5-month-old male American blue heeler-hound has a short brown coat.

He is in kennel No. 9b, ID No. LCAC-A-4523.

This 6-month-old female Belgian Malinois is in kennel No. 10, ID No. LCAC-A-4447. Photo courtesy of Lake County Animal Care and Control.

Female Belgian Malinois

This 6-month-old female Belgian Malinois has a short black and tan coat.

She is in kennel No. 10, ID No. LCAC-A-4447.

This 1-year-old male mastiff mix is in kennel No. 11, ID No. LCAC-A-4566. Photo courtesy of Lake County Animal Care and Control.

Male mastiff mix

This 1-year-old male mastiff mix has a short black coat.

He is in kennel No. 11, ID No. LCAC-A-4566.

This 2-year-old male Akita-shepherd mix is in kennel No. 12, ID No. LCAC-A-4539. Photo courtesy of Lake County Animal Care and Control.

Male Akita-shepherd mix

This 2-year-old male Akita-shepherd mix has a long brown coat.

He is in kennel No. 12, ID No. LCAC-A-4539.

This 2-year-old male Akita-shepherd is in kennel No. 13, ID No. LCAC-A-4538. Photo courtesy of Lake County Animal Care and Control.

Male Akita-shepherd

This 2-year-old male Akita-shepherd has a short fawn-colored coat.

He is in kennel No. 13, ID No. LCAC-A-4538.

This 1-year-old male pit bull terrier is in kennel No. 15, ID No. LCAC-A-4494. Photo courtesy of Lake County Animal Care and Control.

Male pit bull terrier

This 1-year-old male pit bull terrier has a short black coat.

He is in kennel No. 15, ID No. LCAC-A-4494.

This 1-year-old female husky is in kennel No. 16, ID No. LCAC-A-4562. Photo courtesy of Lake County Animal Care and Control.

Female husky

This 1-year-old female husky has a black and white coat.

She is in kennel No. 16, ID No. LCAC-A-4562.

“Missy” is a 6-year-old female pit bull terrier in kennel No. 17, ID No. LCAC-A-4548. Photo courtesy of Lake County Animal Care and Control.

‘Missy’

“Missy” is a 6-year-old female pit bull terrier with a short brown coat.

She is in kennel No. 17, ID No. LCAC-A-4548.

“Malachi” is a 4-year-old male Alaskan malamute in kennel No. 18, ID No. LCAC-A-4434. Photo courtesy of Lake County Animal Care and Control.

‘Malachi’

“Malachi” is a 4-year-old male Alaskan malamute with a long black and white coat.

He is in kennel No. 18, ID No. LCAC-A-4434.

“Louie” is an 8-year-old male Jack Russell terrier in kennel No. 19, ID No. LCAC-A-4550. Photo courtesy of Lake County Animal Care and Control.

‘Louie’

“Louie” is an 8-year-old male Jack Russell terrier with a long white coat.

He is in kennel No. 19, ID No. LCAC-A-4550.

“Tyson” is a male husky in kennel No. 20, ID No. LCAC-A-4344. Photo courtesy of Lake County Animal Care and Control.

‘Tyson’

“Tyson” is a handsome male husky with a red and white coat.

He is in kennel No. 20, ID No. LCAC-A-4344.

This 2-year-old female pit bull terrier is in kennel No. 24, ID No. LCAC-A-4484. Photo courtesy of Lake County Animal Care and Control.

Female pit bull terrier

This 2-year-old female pit bull terrier has a short black and white coat.

She is in kennel No. 24, ID No. LCAC-A-4484.

This 3-year-old male Doberman pinscher is in kennel No. 25, ID No. LCAC-A-4543. Photo courtesy of Lake County Animal Care and Control.

Male Doberman pinscher

This 3-year-old male Doberman pinscher has a short brown and tan coat.

He is in kennel No. 25, ID No. LCAC-A-4543.

This 3-year-old male pit bull is in kennel No. 26, ID No. LCAC-A-4445. Photo courtesy of Lake County Animal Care and Control.

Male pit bull

This 3-year-old male pit bull has a short black and white coat.

He is in kennel No. 26, ID No. LCAC-A-4445.

This 5-month-old female American blue heeler/hound mix is in kennel No. 28, ID No. LCAC-A-4524. Photo courtesy of Lake County Animal Care and Control.

American blue heeler/hound mix

This 5-month-old female American blue heeler/hound mix has a short brindle and white coat.

She is in kennel No. 28, ID No. LCAC-A-4524.

This 7-year-old male German shepherd is in kennel No. 29, ID No. LCAC-A-4561. Photo courtesy of Lake County Animal Care and Control.

Male German shepherd

This 7-year-old male German shepherd with a black and tan coat.

He is in kennel No. 29, ID No. LCAC-A-4561.

This 1-year-old female German shepherd is in kennel No. 30, ID No. LCAC-A-4486. Photo courtesy of Lake County Animal Care and Control.

Female German shepherd

This 1-year-old female German shepherd has a black and tan coat.

She is in kennel No. 30, ID No. LCAC-A-4486.

“Diesel” is a 2-year-old male pit bull terrier in kennel No. 31, ID No. LCAC-A-4549. Photo courtesy of Lake County Animal Care and Control.

‘Diesel’

“Diesel” is a 2-year-old male pit bull terrier with a short white coat with black markings.

He’s in kennel No. 31, ID No. LCAC-A-4549.

This 8-year-old male German shepherd is in kennel No. 32, ID No. LCAC-A-4518. Photo courtesy of Lake County Animal Care and Control.

Male German shepherd

This 8-year-old male German shepherd has a black and tan coat.

He is in kennel No. 32, ID No. LCAC-A-4518.

This 1-year-old male terrier is in kennel No. 33, ID No. LCAC-A-4470. Photo courtesy of Lake County Animal Care and Control.

Male terrier

This 1-year-old male terrier has a tan and white coat.

He is in kennel No. 33, ID No. LCAC-A-4470.

Email Elizabeth Larson at This email address is being protected from spambots. You need JavaScript enabled to view it.. Follow her on Twitter, @ERLarson, or Lake County News, @LakeCoNews.

Climate change trauma has real impacts on cognition and the brain, wildfire survivors study shows

 

The 2018 Camp Fire killed 85 people and destroyed 20,000 buildings in and around Paradise, Calif. Marcus Yam /Los Angeles Times via Getty Images

The Research Brief is a short take about interesting academic work.

The big idea

Psychological trauma from extreme weather and climate events, such as wildfires, can have long-term impacts on survivors’ brains and cognitive functioning, especially how they process distractions, my team’s new research shows.

Climate change is increasingly affecting people around the world, including through extreme heat, storm damage and life-threatening events like wildfires. In previous research, colleagues and I showed that in the aftermath of the 2018 fire that destroyed the town of Paradise, California, chronic symptoms of post-traumatic stress disorder (PTSD), anxiety and depression were highly prevalent in the affected communities more than six months after the disaster.

We also found a graded effect: People whose homes or families were directly affected by fire showed greater mental health harm than those where who were indirectly effected, meaning people who witnessed the event in their community but did not have a personal loss.

In the new study, published Jan. 18, 2023, our team at the Neural Engineering and Translation Labs, or NEATLabs, at the University of California San Diego, wanted to understand whether the symptoms of climate change-related trauma translate to changes in cognitive functioning – the mental processes involved in memory, learning, thinking and reasoning.

We evaluated subjects’ cognitive functioning across a range of abilities, including attention; response inhibition – the ability to not respond impulsively; working memory – the ability to maintain information in mind for short periods of time; and interference processing – the ability to ignore distractions. We also measured their brain function while they performed cognitive tasks, using brain wave recordings obtained from electroencephalography, or EEG.

A man at  a keyboard with a cap that has nodes on it.
A wireless EEG cap records brain activity as a person responds to cognitive tests. The image on the right shows significant differences in electrical brain activity recorded on the scalp between people directly exposed to wildfires and a control group, with greater activity in left frontal cortex (red) for the group directly exposed. Grennan et al., 2022, PLOS Climate, CC BY


The study included three groups of individuals: people who were directly exposed to the fire, people who were indirectly exposed, and a control group with no exposure. The groups were well matched for age and gender.

We found that both groups of people exposed to the fire, either directly or indirectly, dealt with distractions less accurately than the control group.

We also found differences in the brain processes underlying these cognitive differences. People who were exposed to the wildfire had greater frontal lobe activity while dealing with distractions. The frontal lobe is the center for the brain’s higher-level functions. Frontal brain activity can be a marker for cognitive effort, suggesting that people exposed to the fires may be having more difficulty processing distractions and compensating by exerting more effort.

Why it matters

With climate change fueling more disasters, it is incredibly important to understand its impacts on human health, including mental health. Resilient mental health is what allows us to recover from traumatic experiences. How humans experience and mentally deal with climate catastrophes sets the stage for our future lives.

There are strategies people can use to help reduce the stress. Psychosocial research suggests that practicing mindfulness and developing healthy lifestyles, with regular exercise and enough sleep, can protect mental well-being in these scenarios, along with developing strong social bonds.

What’s next?

There is much work to be done to understand if the effects we found are replicable in large sample studies. In this work, we focused on a total of 75 study participants. Scientists also need to understand how these effects evolve as climate disasters like wildfires occur more often.

We are also pursuing research with community partners to implement interventions that can help alleviate some the impacts we observed on brain and cognitive functioning. There is no one-size-fits-all solution – each community must find the resiliency solutions that work best in their environmental context. As scientists, we can help them understand the causes and point them to solutions that are most effective in improving human health.The Conversation

Jyoti Mishra, Associate Professor of Psychiatry, University of California, San Diego

This article is republished from The Conversation under a Creative Commons license. Read the original article.

Space News: NASA’s Geotail Mission operations come to an end after 30 years

An artist's concept of the Geotail spacecraft. Credits: NASA.

After 30 years in orbit, mission operations for the joint NASA-JAXA Geotail spacecraft have ended, after the failure of the spacecraft’s remaining data recorder.

Since its launch on July 24, 1992, Geotail orbited Earth, gathering an immense dataset on the structure and dynamics of the magnetosphere, Earth’s protective magnetic bubble.

Geotail was originally slated for a four-year run, but the mission was extended several times due to its high-quality data return, which contributed to over a thousand scientific publications.

While one of Geotail’s two data recorders failed in 2012, the second continued to work until experiencing an anomaly on June 28, 2022. After attempts to remotely repair the recorder failed, the mission operations were ended on November 28, 2022.

“Geotail has been a very productive satellite, and it was the first joint NASA-JAXA mission,” said Don Fairfield, emeritus space scientist at NASA's Goddard Space Flight Center in Greenbelt, Maryland, and NASA’s first project scientist for Geotail until his retirement in 2008. “The mission made important contributions to our understanding of how the solar wind interacts with Earth’s magnetic field to produce magnetic storms and auroras.”

With an elongated orbit, Geotail sailed through the invisible boundaries of the magnetosphere, gathering data on the physical process at play there to help understand how the flow of energy and particles from the Sun reach Earth.

Geotail made many scientific breakthroughs, including helping scientists understand how quickly material from the Sun passes into the magnetosphere, the physical processes at play at the magnetosphere’s boundary, and identifying oxygen, silicon, sodium, and aluminum in the lunar atmosphere.

The mission also helped identify the location of a process called magnetic reconnection, which is a major conveyor of material and energy from the Sun into the magnetosphere and one of the instigators of the aurora.

This discovery laid the way for the Magnetospheric Multiscale mission, or MMS, which launched in 2015.

Over the years, Geotail collaborated with many of NASA’s other space missions including MMS, Van Allen Probes, Time History of Events and Macroscale Interactions during Substorms mission, Cluster, and Wind.

With an orbit that took it as far as 120,000 miles from Earth at times, Geotail helped provide complementary data from remote parts of the magnetosphere to give scientists a complete picture of how events seen in one area affect other regions. Geotail also paired with observations on the ground to confirm the location and mechanisms of how aurora form.

Although Geotail is done gathering new data, the scientific discoveries aren’t over. Scientists will continue to study Geotail’s data in the coming years.

Mara Johnson-Groh works for NASA’s Goddard Space Flight Center in Greenbelt, Maryland.

Lake County Arts Council awarded California Arts Council Arts Integration training grant

LAKEPORT, Calif. — The California Arts Council has announced a grant award of $14,250 to Lake County Arts Council as part of its Arts Integration program in its second round of funding for 2022.

Lake County Arts Council, in partnership with Lake County Office of Education, will provide a series of Arts Integration Trainings highlighting multiple artforms for Lake County teachers, providing materials and insight on how teachers can easily apply each artform into their classroom.

Approximately 20 Arts Integration classes will be held over 2023-24 calendar year. The workshops will be held in various locations around the county.

Arts integration fosters diverse representation in classrooms; by centering the teaching around student thinking and the arts, focus will be on the student experience and connections, as opposed to the teacher's culture and expertise.

“I am very excited to see this program take off. More commonly we see funding for arts projects, not necessarily teaching moments,” said Barbara Clark, executive director for the Lake County Arts Council. “This one is special because it gives us the opportunity to teach basic concepts that will allow teachers to take control of that art form and use it how they see is most appropriate for their classroom.”

Lake County Arts Council was featured as part of a larger announcement from the California Arts Council, with grant awards for its Cycle B programming totaling more than $41 million across more than 900 grants supporting nonprofit organizations and units of government throughout the state.

All told, the projected sum of grants to be awarded for 2022’s regular program funding cycle is more than $72 million — the biggest annual investment in the California Arts Council’s 46-year history, largely supported by the $40 million one-time boost in support for the agency’s creative youth and arts education development programs.

“The resilience and creativity of California’s arts and cultural field in these last three years has been remarkable,” said California Arts Council Director Jonathan Moscone. “We are proud to be able to support the great work that California's artists, culture bearers and cultural workers are doing within our communities as an indelible part of our state’s identity.”

Cycle B’s programs include five funding opportunities for arts education and creative youth development, and related arts workforce development. Additionally, the cycle offered funding opportunities for administering organizations to regrant funds for folk and traditional arts and individual artists fellowship programs.

Operational support for statewide and regional arts service organizations and networks was also available during this round of grant funding.
  • 798
  • 799
  • 800
  • 801
  • 802
  • 803
  • 804
  • 805
  • 806
  • 807

Community

  • Lake County Wine Alliance offers sponsor update; beneficiary applications open 

  • Mendocino National Forest announces seasonal hiring for upcoming field season

Public Safety

  • Lakeport Police logs: Thursday, Jan. 15

  • Lakeport Police logs: Wednesday, Jan. 14

Education

  • Woodland Community College receives maximum eight-year reaffirmation of accreditation from ACCJC

  • SNHU announces Fall 2025 President's List

Health

  • California ranks 24th in America’s Health Rankings Annual Report from United Health Foundation

  • Healthy blood donors especially vital during active flu season

Business

  • Two Lake County Mediacom employees earn company’s top service awards

  • Redwood Credit Union launches holiday gift and porch-to-pantry food drives

Obituaries

  • Rufino ‘Ray’ Pato

  • Patty Lee Smith

Opinion & Letters

  • The benefits of music for students

  • How to ease the burden of high electric bills

Veterans

  • CalVet and CSU Long Beach team up to improve data collection related to veteran suicides

  • A ‘Big Step Forward’ for Gulf War Veterans

Recreation

  • Wet weather trail closure in effect on Upper Lake Ranger District

  • Mendocino National Forest seeking public input on OHV grant applications

  • State Parks announces 2026 Anderson Marsh nature walk schedule 

  • BLM lifts seasonal fire restrictions in central California

Religion

  • Kelseyville Presbyterian to host Ash Wednesday service and Lenten dinner Feb. 18

  • Kelseyville Presbyterian Church to hold ‘Longest Night’ service Dec. 21

Arts & Life

  • Auditions announced for original musical ‘Even In Shadow’ set for March 21 and 28

  • ‘The Rip’ action heist; ‘Steal’ grounded in a crime thriller

Government & Politics

  • Lake County Democrats issue endorsements in local races for the June California Primary

  • County negotiates money-saving power purchase agreement

Legals

  • March 3 hearing on ordinance amending code for commercial cannabis uses

  • Feb. 12 public hearing on resolution to establish standards for agricultural roads

How to resolve AdBlock issue?
Refresh this page